![]() |
| Alaria sailing to Barbuda |
Some background:
Of course, every island is
much, much more than a piece of land surrounded by a coral reef. There are plenty of on-line ways to learn
more about the islands I’ve visited so I’m not addressing those bits. However, by “reading” and interpreting what
we see in the coral reef ecosystem, we gain some insights about the role of
people play to these complex ecosystems and possibly some ideas on how they can
be better managed.
What happens to reef corals
is often only indirectly related to human actions. Corals frequently die from disease, bleaching
and hurricanes but there isn’t much a local coral reef manager can do about
those events. I’m not saying those
events are unrelated to human activities but they are not directly linked to
what local people do and they cannot be locally managed. Reef fishes are a different story. Much of their distribution, abundance and
body size directly relate to local human activities such as fishing. It is in this context I was especially
interested in studying the reefs of Barbuda.
Recall that this Antilles
Expedition focuses primarily on topographically low-relief islands of the eastern
Caribbean because they will have little runoff from land and virtually no
upstream sources of pollution. This is because
the Trade Winds blowing from the open ocean to the east, drive clean clear
water onto the island’s coral reefs. Barbuda
may be the best study site in the northeast Caribbean because it is a very low-relief
island that is ‘out there’ on an isolated corner of the Caribbean.
![]() |
| Barbuda the northeast-most island in the Caribbean |
The islands of Antigua and
Barbuda comprise one country separated by 30 miles of the Caribbean Sea. However, they are much farther apart than
their distance or common nationality would suggest. Antigua is an eastern
Caribbean hub for mega-yachts, regular flights from the US arrive daily and it
is a heavily populated island with a population density of 285.2 people per square kilometer (or 738.7 /sq. mi). In contrast, the slightly smaller island of
Barbuda has a modest population density of only 10.2 people per square
kilometer (26.4 /sq. mi). The
fact is, the population density of donkeys in Barbuda exceeds that of humans. While the economic diversity in Antigua is relatively
high, the same cannot be said for Barbuda.
Per-capita, fishing is much more important in Barbuda but the impacts of fishing may be diluted by the
relatively fewer number people who fish.
Barbuda’s Reefs:
The coral reefs of Barbuda
are widely recognized as being extensive and almost contiguous around the
eastern half of the island but they are surprisingly unstudied. As with most tropical islands, Barbuda’s
coral reefs form along the shore exposed to prevailing winds. Barbuda’s north-south orientation makes it
ideal for reefs along its eastern shore but its most extensive reefs are off
the north and south tips of the island. That
is why we focused our surveys on Goat and Palaster reefs, respectively.
![]() |
| Three reef tracts, Goat (Cobb), seaward fringing reef and Palaster Reef. The gradient from leeward to windward on Palaster are listed as numbers 1 - 3 (see text). |
A recent study by the Waitt
Institute found extremely low coral cover and considerable seaweed (see - http://bit.ly/BHI-REA). I will
describe the larger trends we found among islands in this archipelago in a
separate blog post but there are a few key features worth reporting now.
We also recorded low coral
cover in our surveys but surprisingly lower than average seaweed abundance. The most unusual aspect of Barbuda’s reef
community was the expansive and rather thick carpet of sand-filled fuzzy turf
algae. Thick algal turfs are lethal to
baby corals but in Barbuda they seemed mostly confined to the most windward
reefs. On a positive note, the
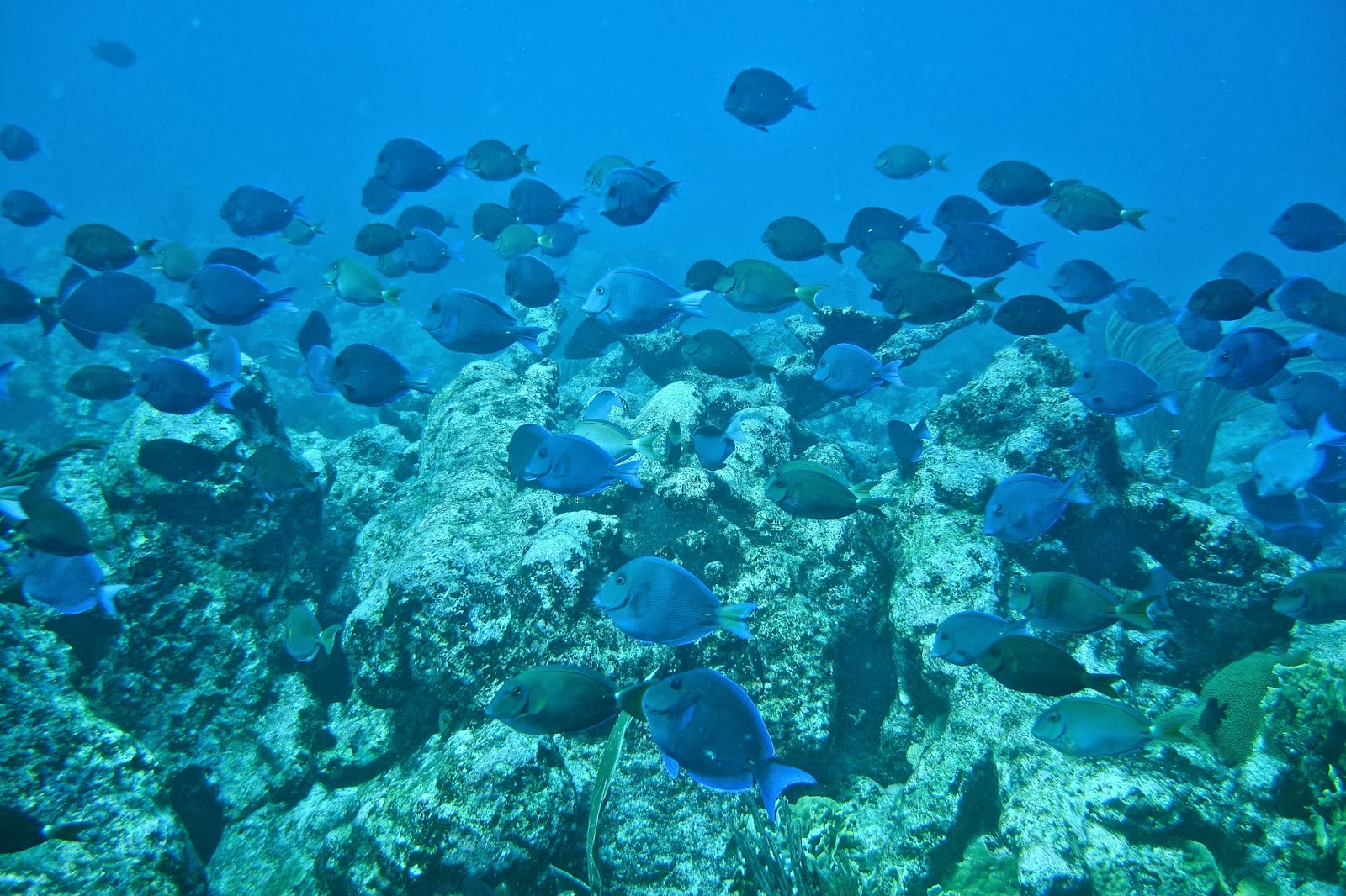
ecologically-important grazing parrotfishes were more abundant in Barbuda than they were in Antigua. This group of fish is said to be an ecosystem driver due to their ability to
reduce seaweed abundance on coral reefs and improve conditions for baby corals. Clearly, Barbuda’s reefs have lots of
different dynamics affecting them simultaneously.
![]() |
| Three parrotfish and a tang grazing on Barbuda's windward coral reef. |
![]() |
| The abundance of parrotfish on the four islands of the Leeward Antilles. This is the total weight of fish per area of reef with all of our study sites from each island pooled together. |
Barbuda’s coral reefs are unusual for the Caribbean.
Barbuda’s reefs are unlike
any we’ve seen in the eastern Caribbean.
They grade from a featureless “pavement” as seen in the photograph below to reefs having significant
architectural complexity.
For the sake of comparison, conduct all of our reef
surveys at 30’ water depth (10 m). This is not only the standardized depth we used here
in the Antilles but it is also the depth used for my research throughout the
Caribbean. Diving on Barbuda’s windward reefs, I expected
to see the best reef development.
Instead, I saw virtually no reef development at all! The fore reefs were basically featureless
pavements.
![]() |
| Palaster reef site #3, is a pavement. No evidence it has been a vigorous reef in recent decades or centuries. |
When reef corals die, their
skeletons remain for decades. To me, the
featureless pavement suggests that there have not been live reef-building
corals there for probably centuries … or possibly longer. Antigua and Barbuda are both on a volcanic
platform that has moved relative to sea level independently of the rest of the
Caribbean. The reason sea level matters to
coral reefs is because reef corals are physiologically plants. They need the high light they get at shallow depth
so they can grow fast and keep up with rising sea level. However, I learned from published geological
studies that Barbuda’s sea level uniquely stopped rising over 4000 years
ago. Since corals cannot grow above sea
level, their growth stops there but they continue to grow down-wind so to
speak. This is important because it
helps us interpret the reefs we see around the island.
We did a series of dives and
found reef development was best at Palaster Reef areas most down-wind from the windward
corner of Barbuda. There, the hulks of dead
elkhorn corals were everywhere. Reef
fish were relatively abundant, grazing fish and cropped reefs were most common
there. Baby corals were relatively
abundant as well. However, moving from
there toward the windward reefs, the reefs became increasingly featureless.
Palaster 1Site has high spatial relief from now dead elkhorn corals (corals likely died since the early 1980s) and is farthest from the eastern windward reef.
|
![]() |
| Parrotfish bite marks on dead coral at Palaster 1. Note pink coralline algae, thin turf algae and no seaweed to speak of. |
Palaster 2 Site - A bit less relief and a bit closer to the windward reef.
|
![]() |
| Transect line over Palaster Site 3 - a relatively featureless windward reef dominated by thick sediment trapping turf algae |
The geological history helps
inform us about some of the geographic trends we found in Barbuda. I’ll discuss this more in another blog but
the coral reef ecosystem in Barbuda is relatively healthy due to the abundance of herbivorous fishes compared to those of
Antigua and Anguilla. This is good news
but only if reef health is maintained or improved.
Herbivorous blue tangs feeding at Palaster 2 site
|
Why healthy coral reefs could help Barbuda:
There are few economic
opportunities in Barbuda. There are
relatively few tourists visiting the island – a few of the big hotels had to
close recently. Barbuda mines and
exports their sand which has obvious shortcomings for the relatively low relief
island but they have few alternative sources of income. Lobster are the island’s most valuable marine
resource. Lobsters like shelters and
coral reefs provide those shelters. So
unsurprisingly, when we dived at the area with the highest coral cover
(Palaster Reef #1), the guys with us from the Codrington Lagoon National Park
and Barbuda Fisheries went hunting for lobsters – with great success.
Lobsters are a good example
of an animal we call an “ecosystem
passengers”. They do not affect the
coral reef ecosystem positively or negatively.
However, they are dependent on the ecosystem for habitat and food. Typically,
structurally complex reefs have the capacity to contain more lobsters because
they have more lobster habitat. That
certainly seemed to be the case among the coral reefs we studied in Barbuda.
Another big advantage for
Barbuda to have healthy coral reefs is so they can develop a lucrative diving
tourist trade. The island of Bonaire has
done this and today they have one of the best coral reefs in the Caribbean and
it has become a Mecca for scuba divers eager to see abundant and relatively large
reef fish in a beautiful coral setting.
Barbuda has the raw materials to become a destination
for ecotourism. There is a remarkable colony
of Magnificant Frigatebirds in the area around a huge and ecologically unique
lagoon. So, with some management help, perhaps
they will be able to navigate a path towards firmer ground economically.
Helping
Hands: The Blue Halo
The Barbudans I spoke to were eager to see new conservation
ideas implemented on their island.
Undoubtedly, the most ambitious program towards that goal was recently
launched by the Wait Institute in what is called the Barbuda Blue Halo initiative (see: http://bit.ly/BHI-www ).
Their stated goals (from their website) are:
The Waitt Institute endeavors to ensure ecologically,
economically, and culturally sustainable use of ocean resources. The Institute
forms deep collaborations with local governments and coastal communities to
design data-driven comprehensive ocean zoning and fisheries management
strategies. Our approach engages stakeholders, aims to maximize long-term
financial benefits for coastal livelihoods, and conserves fish populations and
habitats for this and future generations. The Institute provides technical
expertise in marine ecology, policy, mapping, law, socioeconomics, and
communications. We work with local organizations to build capacity, as needed,
for implementation and long-term success.
The mastermind of this endeavor Dr. Ayana Elizabeth Johnson. She is a recent graduate from
Scripps Institute of Oceanography. She
spent over 8 months in Barbuda in 2013 working with local stakeholders, fishers,
managers and policy makers. With the
help of the Waitt Institute’s research vessel they hosted an event to get
everyone on the same page.
![]() |
| Dr. Ayana Elizabeth Johnson (Waitt Institute and creator of Barbuda's Blue Halo project) looks at some of our results to date. |
After lots of discussions, Ayana and her partners have
developed an ocean-use plan that includes areas for fishing, moorings for
visiting boats and protected areas to let fish, lobsters and conch grow up and
hopefully spill over into adjacent areas open to fishing.
Such events capture people’s attention for a time but
Ayana and the Waitt Institute have been working to make it stick. Most recently she attracted support from
several groups including Antigua Conservation Society, Environmental Awareness
Group, and Antigua and Barbuda Independent Tourism Promotion Corporation.
Will the Blue Halo be a panacea for Barbuda? Unlikely.
But it is a step in the right direction.
The folks I spoke to in Barbuda were all supportive of this project. Ideally it will be a large group effort. I am sharing my data with Ayana so she can
compare Barbuda to other reefs of the eastern Caribbean. Time will tell if the Blue Halo is fully
embraced in Barbuda.












